IN CALABRIA QUATTRO COMUNI AL BALLOTTAGGIO
Si tratta di Gioia Tauro, Rende, Montalto Uffugo e Corigliano-Rossano.
CIRÒ MARINA, INCENDIATA AUTO SEGRETARIO GENERALE
"Mi auguro che la magistratura individui velocemente i responsabili" ha dichiarato il vice Ministro dell’Economia e delle Finanze, Laura Castelli.
7,6 MLN PER RISTRUTTURARE 12 IMMOBILI CONFISCATI
I fondi, fa sapere il Viminale, sono stati stanziati per la nascita di centri di incontro e laboratori sperimentali per i giovani.
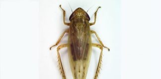
AL PARCO ASPROMONTE SCOPERTO NUOVO INSETTO
"Psammotettix aspromontanus" il nome che gli è stato dato per ricordare la località dove è stato ritrovato.
SHOW COOKING “A QUATTRO MANI” A MARSIGLIA
Le tipicità calabresi in Francia grazie agli chef Rocky Mazzaferro e Dominique Frerard.

















